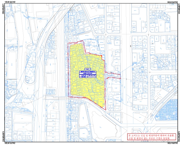
부산광역시 부산진구 범천동 721-67번지 일원에 주택건설사업계획이 승인되어 주상복합 아파트가 건설된다.
사 업 명 : 부산진구 범천동 주상복합 신축공사
사업주체 : 케이에스케이
자세한 부산진구 범천동 주상복합 아파트 사업계획은 다음과 같다.
1. 위치 : 부산광역시 부산진구 범천동 721-67번지 일원
2. 부지면적 : 16,345.5㎡(대지면적 : 13,710.1㎡)
3. 건축면적 : 7,614.77㎡
4. 연면적 : 221,147.37㎡
5. 규모 : 지하6층 지상46층, 956세대, 176호
6. 용도 : 공동주택(아파트), 업무시설(오피스텔), 근린생활시설
7. 사업시행기간 : 2023. 3. 1. ~ 2027. 5. 30.
2023년 3월부터 건설을 시작하여 2027년 5월 말일 준공예정으로 분양공고는 23년 3월께 나올 전망이다.
건폐율 : 80% 이하
용적률 : 1,200% 이하
높이 : 46F(149.04m) 이하
토지이용계획은 다음과 같다.
공동주택용지 : 13,710.1 83.9제곱미터
도시계획시설(도로) : 1,788.3 10.9 2개소
도로용지 : 847.1 5.2 4개소

부산 진구 범천동 721-67번지 일원의 주상복합 아파트 착수예정일은 2023년 03월 01일 부터 준공예정일은 2027월 05월 30로 계획되었다.
부산 진구 범천동 721-67번지 주상복합 아파트 건축 예정 상세
대지의 지역지구는 일반상업지역, 방화지구이며 용도 공동주택(아파트), 업무시설(오피스텔), 근린생활시설이다.
- 토지면적 16,345.50㎡(4,944.51평)
- 대지면적 13,710.10㎡(4,147.31평)
- 연면적 220,984.41㎡(66,847.78평)
- 용적률 산정용 연면적 151,819.37㎡(45,925.36평)
- 용적률 1,107.35%
- 건축면적 7,489.30㎡(2,265.51평)
- 건폐율 54.63% 규모 지하6층, 지상46층(건물높이 : 145.30m)
- 세대수 공동주택:956세대, 업무시설:176호, 근린생활시설:2호
- 주차대수 1,527대 법정 1,353대
- 조경면적 2,088.31㎡(15.23%) (대지면적 15%이상)
- 공개공지 1,571.39㎡(11.46%) (대지면적 10%이상)

배치도를 상세화하면 다음과 같다.

956세대의 아파트가 들어서며 범일역 인근의 우수한 입지를 자랑한다.

부산광역시 진구 범천동 721-67번지 일원에 주상복합을 신축사업은 주택과 근린생활시설이 입지하고 있는 범일역 인근 입지이다.
남측으로는 현대백화점이 위치하고 동측에 도시철도1호선이 통화하며 남동측에 범일역이 입지한다.
서측에는 중앙대로 및 경부선 철도가 지나고 있어 양호한 교통여건을 형성하고 있는 주거지로 양호한 지역이다.
범천동 아파트는 2027년 준공을 목표로 건설사업을 진행중이다.
'아파트 주택' 카테고리의 다른 글
| 강릉 송정동 자이르네 아파트 분양 (0) | 2022.09.12 |
|---|---|
| 강릉 더리브 퍼스티지 지번동 아파트분양 입주자모집공고 (0) | 2022.09.10 |
| 송파구 성도연립 가로주택정비사업 진행현황 (0) | 2022.09.07 |
| 용인 동백동 두산위브더제니스 아파트 공급평형 토지조서 (0) | 2022.09.05 |
| 대구 달서구 본리동 420 주상복합 아파트 분양계획 (0) | 2022.09.01 |